ここから本文です。
ホーム > 環境・まちづくり > 環境 > 三番瀬再生 > 三番瀬ホームページ > 三番瀬とは > 三番瀬を知る・体験する > 三番瀬自然環境データベース > 三番瀬における主な生物 > Capitella属の一種|三番瀬自然環境データベース
更新日:令和8(2026)年1月6日
ページ番号:14970
Capitella sp.
[環形動物門多毛綱イトゴカイ目イトゴカイ科]
生息環境:沿岸域にもっとも豊富だが、深海にも分布。砂泥中に潜り込み、粘液の薄い層で棲管を作る。
外見上はミミズによく似ている。
世界共通種のCapitellacapitata(写真の種)は汚染指標動物として有名。

1目盛り:1mm
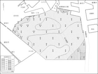
主な分布域は、浅海域西部から北部である1。
1994年から1996年
(JPG:118KB)
2002年
(JPG:100KB)
黒点は調査地点、数字は採集された個体数(三季平均)を示す。
海域環境区分については補足説明1を参照。
お問い合わせ
より良いウェブサイトにするためにみなさまのご意見をお聞かせください